Skøn naturgrund tæt på strand og dejlig natur
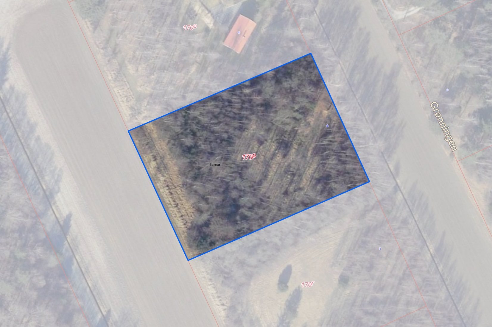
Skøn naturgrund på 5.007 m2 med flot bevoksning og ryddet byggefelt, så det er nem at placere et sommerhus på grunden. Grunden er beliggende på en lukket vej i et godt sommerhusområde i Nordmarken, tæt på øens populære 18 huls golfbane og nær vandet. Østerby Havn kan nåes med en god cykeltur og her findes indkøbsmuligheder, kunsthal, fiskebutik og autentisk havnemiljø.
Grunden har en dejlig privat beliggenhed og tæt på strand og dejlig natur og med marker til begge sider.
Der er betalt tilslutninger til Læsø Forsyning for el og vand af en værdi af 40.313 kr. i 2024.
Det er på grunden muligt at bygge et sommerhus på minimum 35m2 og op til 250m2 (max. Bebyggelsesprocent er 12% af grundens størrelse). Huset må opføres i 1½ plan, hvor der maksimalt må være 6,5m til tagryggen. Der er ligeledes mulighed for at bygge anneks, udhus, garage mv. De nærmere byggetekniske bestemmelser fremgår af lokalplan 0.3 for Læsøs Sommerhusområder.
Der er ikke byggepligt eller bopælspligt på grunden. Vælger man at opføre et hus på grunden, så tilbyder Læsø Kommune mulighed for Ø-kort, der giver adgang til rabatter på færgebilletten. Se mere info herom på Læsø Færgens hjemmeside.
Har du spørgsmål eller ønsker du en fremvisning er du velkommen til at kontakte Poul-Erik Larsen på tlf. 20 28 26 80 eller Peter Christian Pedersen på tlf. 20 14 29 99.
Økonomisk overblik
Skal du også sælge?
Bestil salgsvurdering
Kontakt
Peter-Christian Pedersen
Om kommunen
INDBYGGERE
GRUNDSKYLD
KOMMUNESKAT
SKOLER
BØRNEPASNING
Hvor langt er der til nærmeste?
Se hvor lang tid der er mellem denne bolig og en anden adresse